On Friday 17 January 2025, the Parco archeologico di Pompei presented the results of the excavations of a new private bathhouse in a wealthy domus occupying the southern part of Regio IX, insula 10. The northern part of the insula, where a bakery and evidence of a construction site active in AD 79 were discovered, had already made the news.


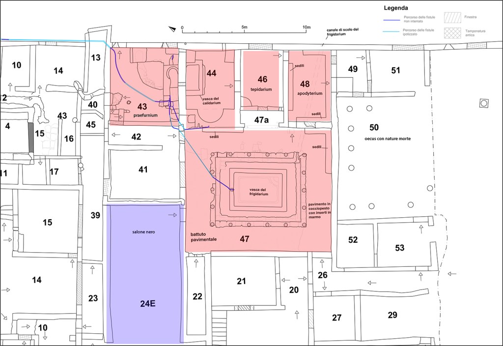
This private facility, dated to the mid-1st c. AD at the latest and the largest of its kind in Pompeii, stands out because of its large piscina (4.60 x 3.30 m, 1 m depth) in a peristyle courtyard (11 x 10 m) and the quality of its decorations. The lead water conduits (fistulae) and taps, as well as a lead tank, are preserved in situ, but the boiler and the testudo of the caldarium‘s alveus were torn out during antiquarian digs. The suspensura rested on terracotta cylinders made of a single element, a popular solution in Pompeii, whereas the walls were heated using tegulae mammatae. The excavations in the domus are still ongoing, but the first results have been published online in open access in the E-Journal Scavi di Pompei.


All pictures made available by the Soprintendenza Archeologica di Pompeii. Further images and a video tour are available on the BBC website.

Leave a comment